Блог: миллиарды под откос (фото)

Вчера в мэрии прошло совещание по развитию транспортной инфраструктуры. Краткий его итог: в Томске все будет очень плохо. Почему? Остановимся на самых «интересных» предложениях.
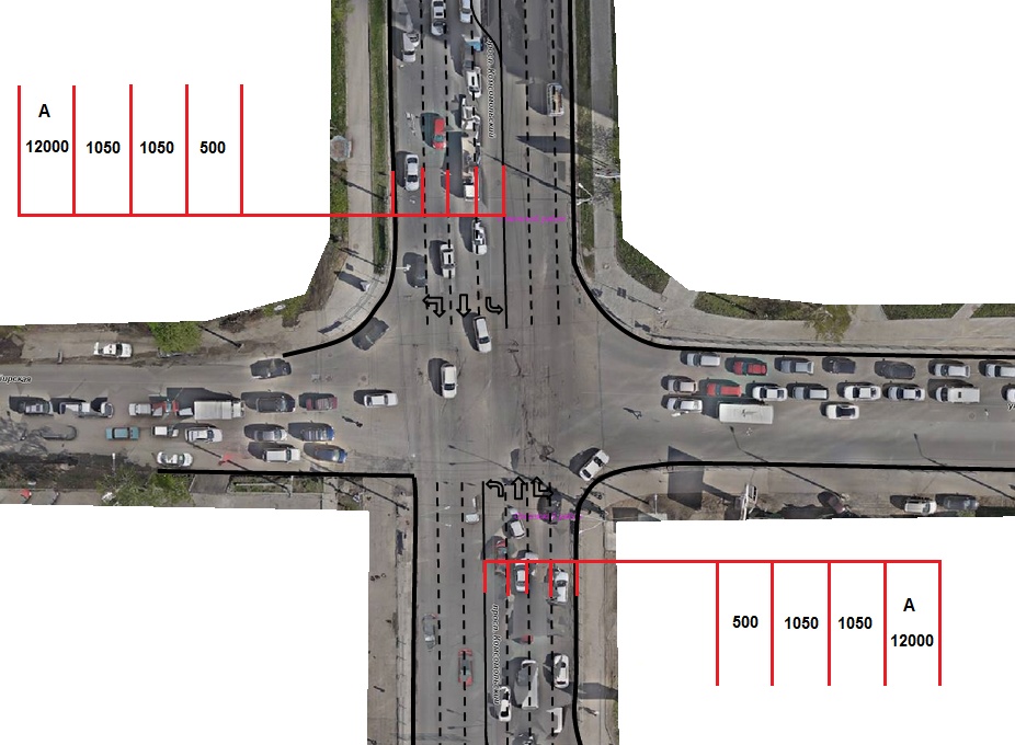
1. Развязка на Комсомольском — Сибирской.
Предложение:
«Экономичное» — сооружение под/надземного перехода для увеличения пропускной способности перекрестка. Стоимость — около 700 миллионов рублей.

«Затратное» — строительство путепровода с проходом Комсомольского над/под Сибирской. Стоимость — около 3,5 миллиарда рублей.

А теперь немного о том, почему в зависимости от выбранного варианта город выбросит в трубу либо 700 миллионов, либо 3,5 миллиарда рублей.
Когда проектировщики говорят, что развязка позволит повысить пропускную способность перекрестка, это чистая правда. Пропускная способность перекрестка действительно повысится. Казалось бы, чего тогда ворчать — строить надо! Однако есть два нюанса, которые меняют отношение к этому вопросу.
Первый.
Чтобы улучшить транспортную ситуацию в масштабах города, нужно повысить пропускную способность дорожной сети, а не отдельного узла. Рассмотрим перекресток Комсомольского — Сибирской в контексте транспортной сети города.
Пробка на четвертой поликлинике до строительства путепровода была регулятором нагрузки на соседние перекрестки. Представьте, что на горной реке стоит плотина. Что будет с деревушками ниже по течению, если она вдруг рухнет? То же самое произошло после открытия путепровода. Поток хлынул соответственно на Яковлева — Пушкина, Комсомольский — Сибирскую, Иркутский тракт — Рабочую и дальше на Суворовское кольцо.
Вот иллюстрация:

Заметим, что пешеходные светофоры на Пушкина немного сглаживают ситуацию, и к перекрестку на Яковлева подъезжает немного «разбитый» поток. Что происходит с перекрестком, к которому подъезжают автомобили без светофоров, видно на примере Сибирской — Комсомольского.
Теперь рассмотрим, что произойдет с уличной сетью в случае «повышения пропускной способности» на Комсомольском — Сибирской.

Что произойдет? Поток со стороны четвертой поликлиники радостно проедет через перекресток с Сибирской и уткнется в пробку перед светофором на «Доме книги». Ведь этот перекресток не станет пропускать больше машин, чем сегодня. Ситуацию, схожую с этой, мы можем наблюдать сегодня, когда после переразметки перекрестка с Сибирской повысилась провозная способность перекрестка в сторону «Дома книги», и пробка благополучно перекочевала чуть дальше. Общее время в пути уменьшилось только для тех, кто поворачивает на Сибирской направо. Для остальных оно не изменилось.
То же самое, но в больших масштабах будет ждать нас в случае реализации проекта разноуровневого пересечения Комсомольского и Сибирской.
В результате через пару лет, когда количество автомобилей в городе вырастет еще на 10-12 тысяч, пойдут разговоры, что и перекресток на «Доме книги» нужно «развязывать», а это уже не 3,5 миллиарда, а гораздо больше. Да и места там не особо много, чтобы разгуляться строителям.
Теперь разберем еще один «замечательный» проект. А именно южный транспортный узел, или Транспортная площадь вместе с мокрушинским переездом.
Что предлагается? Путепровод, соединяющий Нахимова и Елизаровых, а также путепровод через ж/д дорогу на мокрушинском переезде. Стоимость — 8,3 миллиарда рублей.


Смоделируем эффект от строительства данного узла.

Поток (ожидающий весомое прибавление в свете строительства Южных ворот) с ветерком проедет Южную и радостно уткнется в заторы перед следующими лимитирующими светофорами на Красноармейской (светофоры на Учебной, Усова и в особенности на Кирова), Нахимова (на Вершинина и в особенности на Ленина), Елизаровых (плюс пара километров к уже полюбившейся жителям города пробке на «Томске-I»).
Что дальше? Делать развязки на «Томске-I», Ленина — Нахимова и Красноармейской — Кирова?
Что мы получим в случае реализации двух этих проектов общей стоимостью почти 12 миллиардов рублей?
а) коллапс в течении 3,5 и 5 лет строительства соответственно;
б) нулевое увеличение пропускной способности дорожной сети в целом (ее увеличение только на конкретных участках, которое нивелируется следующим же перекрестком);
в) ухудшение доступности городской среды для пешеходов (за счет строительства под/надземных переходов);
г) эстакады не способствуют украшению города.
Хорошая это инвестиция? Потратить 12 миллиардов, чтобы оказаться у тех же исходных через пару лет? Более того, с учетом роста автомобилизации и автомобилепользования среднее время поездки томичей будет увеличиваться с каждым годом.
Главная проблема проводимых городом мероприятий в сфере развития уличной инфраструктуры — это стремление превратить городскую улицу в «шулицу» (гибрид шоссе и улицы). Этой «болезнью» сегодня страдает и Москва, и большинство крупных российских городов. В чем проблема этого подхода?
Строительство на городских регулируемых улицах элементов магистралей непрерывного движения бессмысленно, так как это всего лишь перемещает пробку к следующему «бутылочному горлышку». Городу нужны магистрали непрерывного движения (второй контур уличной сети), но строиться они должны с нуля по промзонам или вдоль ж/д, не затрагивая существующую улично-дорожную сеть.
Превратить же обычную улицу в шоссе можно, но это будет очень дорого и крайне негативно повлияет на привлекательность этого района (шум, «разорванность», плохая экология). Пример — резкое снижение стоимости квартир в московских домах, прилегающих к недавно реконструируемым магистралям.
И все это делается ради того, чтобы увеличить количество автомобилей, которые смогут проехать по улицам. Но в городе живут не автомобили, а люди...
Мы потихоньку дошли до второго нюанса, который должен учитываться при планировании улучшения дорожной инфраструктуры.
Постановка задачи «повышение пропускной способности» в корне неверна. Нужно ставить задачу «повышение провозной способности», то есть количество ЛЮДЕЙ, которые смогут проехать по городским улицам.
Как можно решить эту задачу и сэкономить бюджету пару «лишних» миллиардов?
Например, можно обустроить выделенную полосу для движения общественного транспорта. Посмотрим на то, как это может повлиять на провозную способность перекрестка Комсомольского и Сибирской.


Переразметка Комсомольского с добавлением выделенной полосы позволит повысить провозную способность перекрестка с 15 до 29 тысяч человек в час. Стоимость — несколько миллионов рублей.
Теперь про трамвай к Южным воротам.
Не использовать потенциал трамвайной ветки, ведущей от Южной в центр города, для решения проблемы транспортной доступности нового микрорайона Южные ворота просто глупо. Достроив четыре километра трамвайных путей и добавив к ним трамвайный путепровод через переезд, появится возможность вывозить до 20 тысяч человек в час. Такая провозная способность даже близко недостижима при использовании автомобильных дорог, и ее с лихвой хватит для обслуживания жителей Мокрушина и нового микрорайона.

Наши соседи из Новосибирска поняли, как важно дать жителям нового района возможность быстро добираться до центра города, и строят трамвайную ветку до микрорайона Чистая слобода даже вперед автомобильной дороги.
Сколько может стоить четыре километра трамвайной линии? Зависит от сложности грунтов, но практика других российских городов показывает, что можно уложиться в 100 миллионов рублей за километр. Даже удвоив эту сумму получается в восемь раз дешевле, чем городить две развязки. При несравнимом эффекте.
Общая сумма инвестиций, необходимых для реализации всех показанных на совещании проектов, обойдется в 17,7 миллиарда рублей. Это неподъемная сумма. Городу необходимо решать задачу по повышению мобильности горожан в условиях дефицита денежных средств. Так почему бы не вкладывать имеющиеся в по-настоящему эффективные проекты, а не в бессмысленные сооружения, только ухудшающие эту самую мобильность?
Как можно повлиять на ситуацию? Все желающие могут направить обращение в городскую администрацию с просьбой решать проблемы пробок не экстенсивными (развязки, расширение дорог), а интенсивными (развитие общественного транспорта) методами. Для этого пройдите по ссылке и скопируйте текст (или напишите свой, если есть, что добавить от себя). Затем заходите на портал администрации по этой ссылке. В течении месяца должен прийти ответ.
Отпишитесь в комментариях те, кто подал обращение. А еще лучше заходите в специально созданное обсуждение в нашей группе во «ВКонтакте» и пишите о судьбе заявления. Если нет аккаунта в «ВК», то пишите в нашу группу в «Фейсбуке».


